Aktuelles vom Islandpferdegestüt Berghof
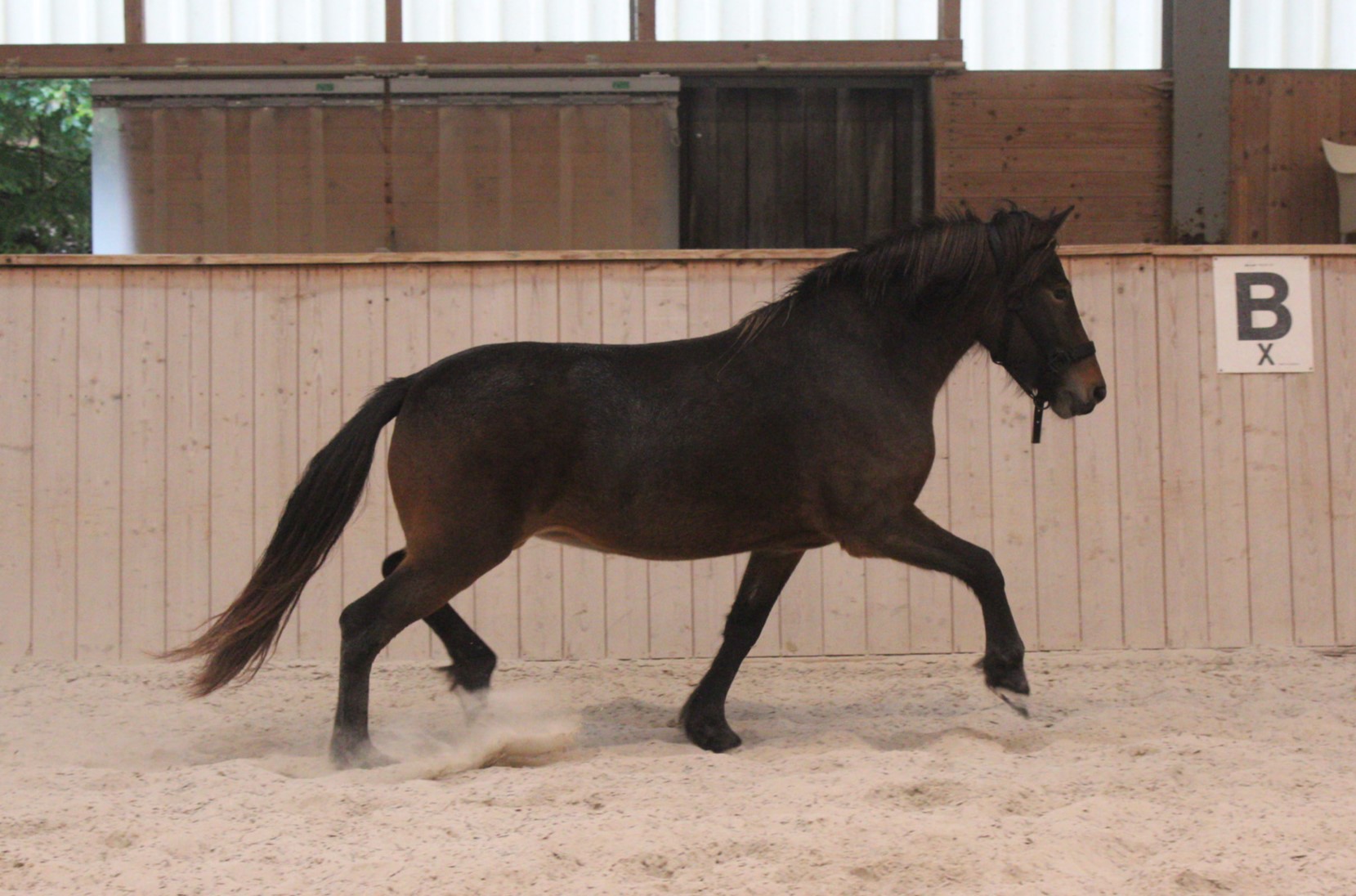
Deckhengst 2025
Wir sind begeistert von unserem 5-jährigen Junghengst Svadi vom Berghof!
Seit 2023 wird er nach seiner Körung mit der Gesamtnote von 8,0 erfolgreich bei uns als Deckhengst eingesetzt.
So wie er sich bei den Menschen verhält, ist er auch zu den Stuten: immer nett, höflich und sehr umgänglich. Zudem entwickelt er sich bei seinem Training stets positiv weiter. Svadi ist fünfgängig veranlagt und leicht für jedermann zu reiten. Sein taktklarer Tölt ist immer leicht abrufbar sowie auch alle anderen Gänge. Svadis Großvater ist der berühmte Aron frá Strandárhöfdi. Von seinen geprüften Nachkommen haben 80 % eine Elitebeurteilung erhalten.
Er steht für die Bedeckung auf der Weide 2025 zur Verfügung.
Anfragen gerne an: info@islandpferde-berghof.de oder 0175-4162086
September 2024
Fohlen- und Basisprüfung auf dem Ziegelhof in Wildflecken
Alle unsere Fohlen wurden wieder prämiert!
Fjalladis vom Berghof wurde mit einer Gesamtnote von 7,99 und Reynir vom Berghof mit der Gesamtnote 7,9 Prämienfohlen!
Sehr stolz sind wir auch auf unsere 4-jährigen Jungstuten, die ihre Basisprüfung abgelegt haben:
Krona vom Berghof erhielt die Gesamtnote 8,04 und gehört damit zur Elite!
Ihr Richterspruch lautet: "Typvolle, elegant gebaute Stute mit hoher Aktion, guter Tempofähigkeit im Trab und viel Tölt an der Hand."
Salvör vom Berghof erhielt die Gesamtnote 7,89 mit dem Richterspruch: "Besonders fleißige Jungstute mit akzentuierten Bewegungen und viel Tempo im Trab, hat etwas Tölt an der Hand gezeigt."
September 2023
Fohlen- und Basisprüfung auf dem Ziegelhof in Wildflecken
Alle unsere Fohlen wurden prämiert!
Glampi vom Berghof wurde mit einer Gesamtnote von 8,1 Goldprämienfohlen!
Richterspruch: "Ausdrucksvolles, lauffreudiges Hengstfohlen mit sehr guter Balance und gleichmäßiger Gangqualität bei viel lockerem Naturtölt."
April 2023
Hengstkörung am 28.04.2023 auf dem Lipperthof in Wurz
Unser Junghengst Svadi vom Berghof (M: Ósk vom Berghof, V: Kiljan frá Hvammi 2) wurde mit einer Gesamtnote von 8,0 im Rahmen der Hengstkörung in Wurz gekört und in das Hengstbuch 1 eingetragen!
Er erhielt den Richterspruch: "Freundlicher, aufmerksamer Junghengst mit leichtfüßigem, fließenden Bewegungsablauf in Tölt, Trab & Galopp, weitgehend harmonischem Gebäude, klar 5gängig veranlagt."
Svadi deckt dieses Jahr bei uns auf dem Berghof in der Herde.
Anfragen an: info@islandpferde-berghof.de oder 0160-3882954
September 2022
Fohlen-/Basisprüfung in Wildflecken
Alle Fohlen wurden dieses Jahr prämiert! (siehe Nachzucht 2022)
Sehr freuen wir uns über die Beurteilung der Basisprüfung der von uns gezüchteten 4-jährigen Stuten und gratulieren ihren Besitzern ganz herzlich!
Óskadis vom Berghof (M: Ósk vom Berghof; V: Draumur vom Lipperthof) wurde zweitbeste Stute in Bayern mit einer Gesamtnote von 8,12!
Spraka vom Berghof (M: Kvika vom Berghof; V: Draumur vom Lipperthof) erhielt mit der Note 8,04 den 3. Platz der bayerischen Stuten.
Mai 2022
FIZO in Verden
Fina vom Berghof (M: Kvika vom Berghof V: Eldfari vom Lipperthof)
Fina erhielt auf ihr Exterieur die Note 8,14! Weiterhin gaben ihr die Richter die Note 8 für Schritt, Trab, Tölt, Galopp und Form unter dem Reiter. Eine 8,5 bekam sie für den langsamen Tölt und die Rittigkeit!
September 2021
Fohlen-/Basisprüfung in Wildflecken
Dieses Jahr erhielten drei Fohlen eine Elitebewertung mit einer Note über 8,0!
Zwei weitere Fohlen wurden prämiert mit einer Note über 7,9!
Weiterhin freuen wir uns über die Beurteilung der Basisprüfung unserer 4-jährigen Stuten:
Skella vom Berghof wurde zweitbeste Stute in Bayern mit einer Gesamtnote von 8,07 (Ext.: 8,00; Int.: 8,10; Gang: 8,10).
Hetja vom Berghof erhielt auf ihr Exterieur 8,10, ihren Charakter 8,20 und auf die Gänge die 7,90, was eine Gesamtnote von 8,02 ergibt.
September 2020
Unsere 3-jährigen Hengste Blettur und Naddur (beide Enkel von Álfur frá Selfossi) wurden gekört und in das Hengstbuch I eingetragen.
Der Isabellfalbschecke Blettur erhielt für sein Interieur die Note 8,3! Richterspruch: "Sehr kooperativer, gut ausbalancierter Junghengst mit gleichverteilter Trag- und Schubkraft bei gleichmäßig guten 5 Gängen." (Abstammung: V: Alfari frá Votmúla 1, M: Solveig vom Berghof)
Der Rappe Naddur erhielt den Richterspruch:"Mittelgut aufgerichteter Hengst mit guter Genickhaltung, klarer Gangtrennung und Tölt in den Übergängen bei fleißigem Temperament." (Abstammung: V: Alfari frá Votmúla 1, M: Gunnvör vom Berghof)
Glaesa, eine 4-jährige Stute aus unserer Zucht wurde zur Basisprüfung vorgestellt und steht nun auf Platz 2 der bayerischen Stuten mit einer Gesamtnote von 8,16. Wir freuen uns mit ihrer Besitzerin Tanja Bott!
Zudem wurden vier unserer Fohlen als Prämienfohlen ausgezeichnet! (siehe Nachzucht 2020)
September 2019
Rodi vom Berghof auf Platz 5 der bayerischen Hengstfohlen!
M: Kvika vom Berghof V: Kiljan frá Hvammi II
Richterspruch (Marlise Grimm): Gut entwickeltes, sehr harmonisch gebautes Hengstfohlen mit außergewöhnlich viel Naturtölt bei geschmeidigen Bewegungen und guter Tempofähigkeit. Zeigte sich gelassen mit feinen Reaktionen.
Exterieur 8,20 Charakter 8,10 Gänge & Bewegung 8,20 Gesamt 8,18
Die Basisprüfung haben auch sehr erfolgreich abgelegt:
Fina vom Berghof
M: Kvika vom Berghof V: Eldfari vom Lipperthof
Richterspruch (Marlise Grimm): Elegant aufgerichtete, sehr ausdrucksvolle Jungstute mit sehr gutem Tölt und leichtfüßigem Bewegungsablauf.
Exterieur 8,00 Charakter 8,10 Gänge & Bewegung 8,00 Gesamt 8,02
und Svört vom Berghof
M: Ósk vom Berghof V: Eldfari vom Lipperthof
Richterspruch (Marlise Grimm): Aufmerksame, feine Jungstute mit leichtfüßigen, lockeren Bewegungen und gutem Gleichgewicht, fünfgängig, mit viel Naturtölt.
Exterieur, Charakter und Gänge jeweils 8,00
Juni 2019
Menja vom Berghof
Elitestute aus Mörn vom Berghof und Sprengur vom Lipperthof
Ergebnis der FIZO 2019 in Verden: Exterieur 8,13 Reiteigenschaften 8,08 Gesamt 8,10
April 2018
Körung in Wurz von Glaesir vom Berghof
Vater: Tryggur vom Lipperthof
VV: Thróttur frá Hvalnesi
Mutter: Solveig vom Berghof
MV: Konna-Bleikur frá Flugumýri
Richterspruch: Dynamischer Junghengst mit viel Lauffreude, fließenden Übergängen zwischen Tölt und Trab bei guter Tempovarianz und harmonischem Gebäude.
Ext. 8,0 Int. 8,0 Gang 8,0 Gesamt = 8,0





















